名古屋院
/アネックス院
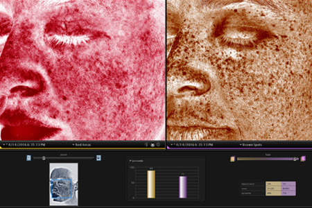
VISIA(ビジア)

※Aura 3D肌診断システムの導入に伴い、VISIAによる肌解析のサービスを終了致します。
肌の“見えない悩み”を科学的に可視化する2D画像解析診断機
VISIA(ビジア)は、米国Canfield社が開発した肌解析専用の高精細2D肌診断装置です。
肌表面だけでなく、肉眼では確認できない皮膚の奥層(真皮・皮脂・色素沈着)までを多角的に撮影・解析することが可能です。

VISIAは、8つの主要な肌指標をもとに、総合的な肌状態を分析します:
項目
・シミ(スポット):表皮上にある色素沈着の有無や濃さを判定
・赤み(レッドエリア):毛細血管の拡張や炎症状態を可視化
・毛穴:大きさや分布、詰まりや開きの傾向を分析
・シワ:微細なしわや大きなしわの深さ・位置を抽出
・キメ:肌表面の滑らかさや整い具合を評価
・紫外線ダメージ(UVスポット):皮膚内部に潜在する紫外線ダメージを画像化
・ポルフィリン(皮脂・アクネ菌の排出物):ニキビ傾向の把握に役立つ皮脂状態の評価
・肌年齢(トータルスコア):総合的な肌の状態から相対的な肌年齢を算出

紫外線ライトや偏光フィルターを使用し、表面に現れていないシミや色素沈着も解析可能です。

定量的なスコア表示により、自分の肌の現状を客観的に把握できます。

撮影データは保存されるため、複数回の撮影で肌の変化を継続的に追跡可能です。
| 平成9年 | 大阪大学医学部 卒業 大阪大学医学部附属病院 大阪府立病院 (現大阪府立急性期 ・総合医療センター) |
|---|---|
| 平成12年 | 大塚美容形成外科勤務 金沢院院長に就任 |
| 平成18年 | 大塚美容形成外科 名古屋院院長に就任 |
| 平成22年 | 医療法人一美会エースクリニック開設 |
| 令和3年 | 医療法人一美会エースクリニック大阪梅田院開院 |
| 令和4年 | 医療法人一美会エースクリニックアネックス院開院 |
| 令和6年 | 医療法人一美会エースクリニック大阪梅田HEPナビオ院開院 |
日本美容外科学会/日本再生医療学会/日本抗加齢医学会/日本レーザー医学会/日本眼形成再建外科学会
日本美容外科学会(JSAS)認定美容外科専門医
ウルセラ認定医/サーマクール認定医/ミラドライ認定医

| 住所 | 〒450-0002
名古屋市中村区名駅4-10-25 名駅IMAIビル3F(名古屋院)・6F(アネックス院) ※初診カウンセリングご予約の方は3Fにお越しください。 |
|---|---|
| 診療科目 | 美容外科、美容皮膚科、形成外科、皮膚科 |
| 診療時間 | 10:00~19:00 完全予約制 |
| 休診日 | 日・祝 |
医療法人一美会理事長 竹内孝基
「肌の“内側”を知ることで、本当に必要な治療が見えてきます。」
美容医療において大切なのは、見えている症状だけでなく、その奥に隠れた肌の状態まで把握することです。
VISIAは、私たちが目で見ただけではわからない、シミ予備軍・毛穴の詰まり・皮脂分泌・UVダメージなど、肌内部に潜む情報を可視化してくれる診断機です。
この装置によって、患者様ご自身も「自分の肌がどのような傾向を持っているのか」「どんなリスクが潜んでいるのか」を客観的に理解することができるようになります。
治療を開始する前に、まず肌を正しく知る――それが結果につながる一歩です。
どの治療が必要なのか迷われている方や、自分の肌状態をしっかり把握したい方は、ぜひ一度VISIAの診断を受けてみてください。